Kaufobjekte
Großes Eckgrundstück mit Süd-West Ausrichtung *Exklusiv-Vermarktung*
| Nutzungsart | Wohnen | Vermarktungsart | Kauf |
| Objektart | Grundstück | Objekttyp | Wohnen |
| PLZ | 85540 | Ort | Haar |
| Land | Deutschland | Erschliessung | Erschlossen |
| Grundstücksgröße | 1.366 m² | Außen-Provision | 3,57 % inkl. 19% MwSt. vom notariell beurkundeten Kaufpreis |
| Währung | € | Freitext Preis | auf Anfrage |
| externe Objnr | RWS31-33 | Status | Aktiv |
| Betreuer | 2 |
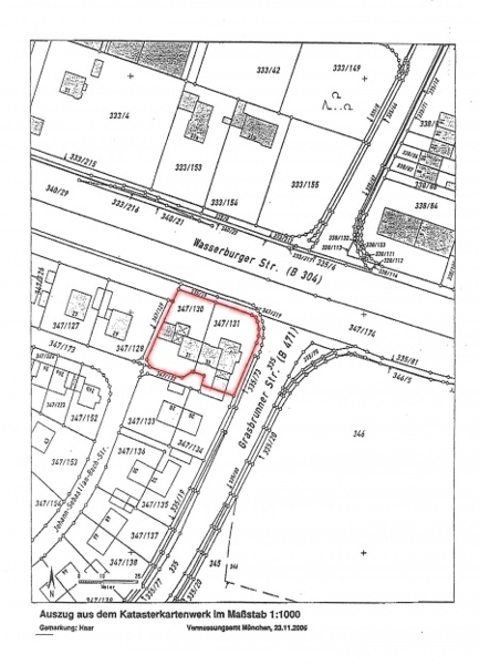
Objektbeschreibung: Das hier zum Verkauf stehende Eckgrundstück (bestehend aus 2 separaten angrenzenden Grundstücken) ist hochinteressant für Bauträger im Bereich Wohnungsbau.
Da diese beiden Grundstücke am Ortsrand von Haar an zwei befahreneren Straßen liegen wäre es denkbar (nach ersten Gesprächen mit dem Bauamt in Haar), eine BLOCKRANDBEBAUUNG genehmigt zu bekommen. Der Schnitt des Grundstücks würde sich dafür sehr eignen. Es könnte in L-Form bebaut werden. Somit wäre der Innenhof nicht nur sonnendurchflutet nach Süd-Westen ausgerichtet, sondern auch sehr ruhig und idyllisch.
Zudem würde die GFZ angehoben werden. Die Blockrandbebauung wurde bereits in Haar in der Nachbarschaft bewilligt.
Beide Grundstücke haben bewohnte Häuser. Das eine Haus bewohnt ein Eigentümer selbst. Das andere Grundstück sind 8 Mieter. Die Mietverträge sind sehr gut kündbar, da es sich um Überlassungsverträge, die immer auf 1 Jahr befristet sind, handelt. Lage: Dieses Grundstück liegt in zentraler Lage am östlichen Ortsrand von Haar. Die nähere Umgebung ist geprägt von reiner Wohnbebauung, überwiegend Eigenheimen und Wohnanlagen.
Es besteht eine gute öffentliche Verkehrsanbindung durch die nahe gelegene S-Bahnstation Haar (S3 und S4) und durch den Autobahnring A99 mit direktem Anschluss an sämtliche Autobahnen.
Einkaufsmöglichkeiten, Post, Banken, Apotheken, Kindergärten, Schulen u.v.m. befinden sich in unmittelbarer Nähe. Sonstige Angaben: Bitte haben Sie Verständnis, dass wir nur Anfragen mit vollständiger Adresse und Telefonnummer bearbeiten können.
Alle Angaben zur Immobilie beruhen auf Informationen des Eigentümers. Für Richtigkeit und Vollständigkeit wird keine Haftung übernommen. Für den Käufer entsteht eine Maklercourtage von 3,57% inklusive Mehrwertsteuer aus dem Kaufpreis. Fällig zur Zahlung bei Vertragsabschluss.
Da diese beiden Grundstücke am Ortsrand von Haar an zwei befahreneren Straßen liegen wäre es denkbar (nach ersten Gesprächen mit dem Bauamt in Haar), eine BLOCKRANDBEBAUUNG genehmigt zu bekommen. Der Schnitt des Grundstücks würde sich dafür sehr eignen. Es könnte in L-Form bebaut werden. Somit wäre der Innenhof nicht nur sonnendurchflutet nach Süd-Westen ausgerichtet, sondern auch sehr ruhig und idyllisch.
Zudem würde die GFZ angehoben werden. Die Blockrandbebauung wurde bereits in Haar in der Nachbarschaft bewilligt.
Beide Grundstücke haben bewohnte Häuser. Das eine Haus bewohnt ein Eigentümer selbst. Das andere Grundstück sind 8 Mieter. Die Mietverträge sind sehr gut kündbar, da es sich um Überlassungsverträge, die immer auf 1 Jahr befristet sind, handelt. Lage: Dieses Grundstück liegt in zentraler Lage am östlichen Ortsrand von Haar. Die nähere Umgebung ist geprägt von reiner Wohnbebauung, überwiegend Eigenheimen und Wohnanlagen.
Es besteht eine gute öffentliche Verkehrsanbindung durch die nahe gelegene S-Bahnstation Haar (S3 und S4) und durch den Autobahnring A99 mit direktem Anschluss an sämtliche Autobahnen.
Einkaufsmöglichkeiten, Post, Banken, Apotheken, Kindergärten, Schulen u.v.m. befinden sich in unmittelbarer Nähe. Sonstige Angaben: Bitte haben Sie Verständnis, dass wir nur Anfragen mit vollständiger Adresse und Telefonnummer bearbeiten können.
Alle Angaben zur Immobilie beruhen auf Informationen des Eigentümers. Für Richtigkeit und Vollständigkeit wird keine Haftung übernommen. Für den Käufer entsteht eine Maklercourtage von 3,57% inklusive Mehrwertsteuer aus dem Kaufpreis. Fällig zur Zahlung bei Vertragsabschluss.
Ihr direkter Ansprechpartner
Name und Anschrift
Frau Nicole Rienas
Rienas-Immobilien
81669 München
Kontaktdaten
Tel.: 089 - 622 864 96
Mobil: 0172 - 813 25 90
Fax: 089 - 622 864 95
Email: nr@rienas-immobilien.de
Homepage: www.rienas-immobilien.de

